2024-02-28 13:35 来源: 自然资源局
依据《中华人民共和国城乡规划法》、《中华人民共和国行政许可法》、《关于城乡规划公开公示的规定》规定,我局将位于西岗东路西、爱民西街南的国网黑龙江鸡西虎林市供电分公司城区供电所新建项目进行批前公示,公示内容如下:
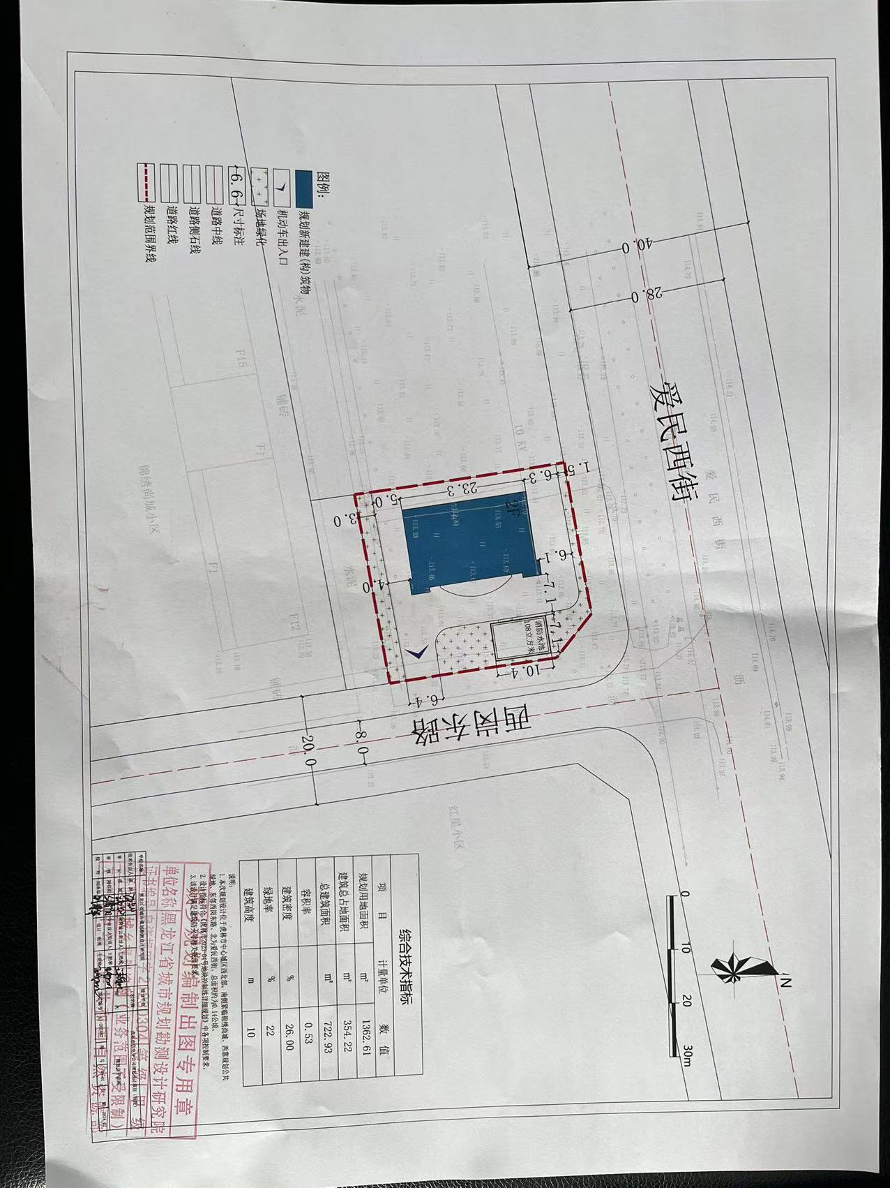
项目名称:国网黑龙江鸡西虎林市供电分公司城区供电所
新建项目
建设单位:国网黑龙江鸡西虎林市供电分公司
用地位置:西岗东路西、爱民西街南
用地面积:1362.61平方米
用地性质:商业用地
建筑面积:722.93平方米
公示期限:7个工作日
公示日期:2024年2月28日至3月7日
联系电话:0467-5816020
联系人:张焱
注:如有意见或建议,请于公示期内向我局反馈
附:虎林市供电分公司规划设计项目修建性详细规划

